高知市石立町-3号地・建築条件付き-売土地

1,233万円

高知県高知市石立町

とさでん交通伊野線「上町五丁目」駅徒歩8分

とさでん交通伊野線「旭町一丁目」駅徒歩11分

価格
1,233万円
土地面積(坪数)
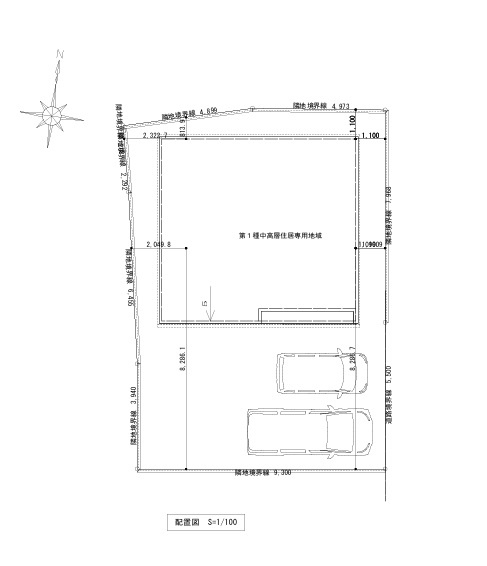
122.59㎡(37.08坪)
所在地
高知県高知市石立町
築年
-(-)
駐車
-
交通

とさでん交通伊野線上町五丁目」駅 徒歩8分

とさでん交通伊野線旭町一丁目」駅 徒歩11分

高知市石立町-3号地・建築条件付き-売土地の基本情報

物件名
高知市石立町-3号地・建築条件付き-売土地
価格
1,233万円
土地面積
122.59㎡
築年月
-(-)
総区画数
8区画
所在地
高知県高知市石立町
交通

とさでん交通伊野線上町五丁目」駅 徒歩8分

とさでん交通伊野線旭町一丁目」駅 徒歩11分

高知市石立町-3号地・建築条件付き-売土地の詳細情報

設備条件
  • 閑静な住宅地
  • 駐車2台可
設備(その他)
    *水道分担金360,000円(税込)別途必要
駐車場/月額
-/-
土地権利
所有権
国土法届出
不要
用途地域
第一種中高層住居専用
区画数
8区画 / 1戸
管理形態
-
管理員の勤務形態
-
管理会社
-
取引態様
一般媒介
引渡し
相談
開発許可番号
-
備考
ぜひ一度見ていただきたい、「高知市石立町-3号地・建築条件付き-売土地」です。薬や日用品を買うのに便利なよどやドラッグ 石立店まで、204mです。前面道路6m以上は確保しているので車の出し入れもラクラクです。土地面積は126.56㎡(公簿)です。不動産探しのことなら、どのようなことでもパークホームへお気軽にお問い合わせください。知識豊富なスタッフがご対応いたします。お電話0120-927-255にてお待ちしております。

高知市石立町-3号地・建築条件付き-売土地のコメント(おすすめポイント)

家から204mのところに、薬や日用品を買うのに便利なよどやドラッグ 石立店があります。駅から徒歩8分圏内に立地しています。土地面積は126.56㎡(公簿)で一押しです。周辺環境の良い売地ですので、土地購入をご検討の方におすすめです。不動産の売却、購入は情報のスピードが重要です。パークホームのスタッフは地元密着の情報網を活かし、迅速に対応いたします。まずはお気軽にお問い合わせください。

高知市石立町-3号地・建築条件付き-売土地で募集中の物件

  1. 37.08坪 (122.59㎡)

    1,233万円(33.25万円/坪)

周辺施設

  • よどやドラッグ 石立店の画像

    ドラッグストア

    よどやドラッグ 石立店

    204m(3分)

  • ユニクロ 土佐道路店の画像

    その他

    ユニクロ 土佐道路店

    522m(7分)

  • ファミリーマート 高知旭町店の画像

    コンビニエンスストア

    ファミリーマート 高知旭町店

    739m(10分)

  • マルナカ 旭店の画像

    スーパー

    マルナカ 旭店

    811m(11分)

  • 西部中学校の画像

    中学校

    西部中学校

    1114m(14分)

  • 神田小学校の画像

    小学校

    神田小学校

    1581m(20分)

近隣の物件

  1. 高知市鴨部

    - (92.35㎡)

    750万円

  2. 高知市横浜西町

    - (165.00㎡)

    1,100万円

  3. 高知市北高見町

    - (313.32㎡)

    2,000万円

  4. 高知市薊野東町

    - (230.18㎡)

    1,7405,000

高知市石立町-3号地・建築条件付き-売土地

お気軽にお問い合わせください

LINEからお問い合わせ 無料お問い合わせ

有限会社パークホーム

088-821-8881

平日09:30~18:00   土・日・祝:10:00~17:00

(休:年末年始)